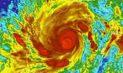
Bão Tauktae đang tấn công Ấn Độ là bão lốc xoáy mạnh thứ 5 từng được ghi nhận trong lịch sử ở Biển Ả Rập.
|
|
|
Cách đây vài giờ, tờ Reuters (Anh) thông tin, hơn 200.000 người ở bang Gujarat miền tây Ấn Độ đã phải sơ tán khẩn cấp; đồng thời các nhà chức trách đã đóng cửa các cảng và sân bay lớn khi bão Tauktae - cơn bão mạnh nhất trong hơn 2 thập kỷ - đổ bộ vào bang này vào đêm ngày 17/5 - rạng sáng 18/5. Một trận lốc xoáy năm 1998 đã giết chết ít nhất 4.000 người và gây thiệt hại hàng trăm triệu đô la ở bang Gujarat.
Udaya Regmi, Trưởng đoàn Nam Á, Liên đoàn Chữ thập đỏ Quốc tế cho biết: "Cơn lốc xoáy này là một "đòn kép khủng khiếp" đối với hàng triệu người ở Ấn Độ có gia đình bị thiệt hại do những ca nhiễm Covid-19 kỷ lục và gây tử vong hàng loạt. Nhiều gia đình hầu như không sống nổi".
Ông Regmi cho biết đội Khẩn cấp Chữ thập đỏ Ấn Độ đang làm việc với các nhà chức trách và giúp sơ tán người dân từ các vùng trũng thấp đến các trung tâm cứu trợ xa hơn trong đất liền khi đối mặt với cái mà ông gọi là "cơn bão quái vật".
![]()
![]()
Ảnh trái: Người dân bang Gujarat đang di tản đến nơi an toàn để tránh bão. Ảnh: REUTERS /
Amit Dave - Ảnh phải: Mưa lớn và gió mạnh gây thiệt hại tại bang Gujarat.
Ảnh: REUTERS / Francis Mascarenhas
Reuters dẫn lời các nhà chức trách Ấn Độ cho biết lốc xoáy Tauktae đã giết chết ít nhất 16 người và để lại dấu vết tàn phá khi nó đi qua các bang ven biển Kerala, Karnataka, Goa và Maharashtra. Cơn bão gia tăng áp lực cho các nhà chức trách khi họ đang vật lộn với cuộc chiến mang tên Covid-19.
Đài NDTV (Ấn Độ) dẫn lời chuyên gia dự báo thời tiết Ấn Độ cho hay, cơn bão này dự kiến sẽ đi vào Rajasthan và sẽ suy yếu vào ngày 20/5.
Điểm chính về Tauktae:
- Sức gió mạnh nhất đạt được: 210 km/giờ.
- Cục Khí tượng Ấn Độ (IMD) xếp hạng: Bão lốc xoáy cực kỳ nghiêm trọng.
- Bão Tauktae tấn công bang miền tây Ấn Độ Gujarat. Là cơn bão mạnh nhất trong hơn 2 thập kỷ tại bang.
- Đồng thời là cơn bão xoáy mạnh thứ 5 từng được ghi nhận trong lịch sử ở Biển Ả Rập.
- Chuyên gia Hội chữ thập đỏ gọi nó là "cơn bão quái vật".
Cơn bão mạnh Tauktae (phát âm là 'tau-tay' trong tiếng Miến Điện, nghĩa là Tắc kè) đã ập vào bờ biển Gujarat vào sáng thứ Ba, gây ra những trận mưa và gió dữ dội ở các bang dọc theo bờ biển phía Tây. Tauktae hiện được phân loại là 'Bão lốc xoáy cực kỳ nghiêm trọng' và là cơn bão xoáy mạnh thứ 5 từng được ghi nhận trong lịch sử ở Biển Ả Rập.
Bão Tauktae có nguồn gốc từ Biển Ả Rập và được Cục Khí tượng Ấn Độ (IMD) quan sát lần đầu tiên vào ngày 13/5 khi nó di chuyển về phía đông, và sau đó lên phía bắc. Đến ngày 15/5, Tauktae bắt đầu mạnh lên nhanh chóng từ 'Bão xoáy nghiêm trọng' thành 'Bão lốc xoáy rất nghiêm trọng', và sau đó là 'Bão lốc xoáy cực kỳ nghiêm trọng'.
Cơn lốc xoáy mang đến sức gió lên tới 210 km/h, thấp hơn một cấp so với loại siêu lốc xoáy (mạnh nhất) của IMD.
IMD phân loại các cơn bão nhiệt đới, xoay theo hướng ngược chiều kim đồng hồ, gồm có các bậc: Áp thấp, Bão xoáy, Bão xoáy nghiêm trọng, Bão xoáy rất nghiêm trọng, Bão xoáy cực kỳ nghiêm trọng và Siêu bão xoáy. Hai cấp cuối cùng có tốc độ gió lần lượt trên 160 km/h và trên 210 km/h.
SỰ BẤT THƯỜNG TRÊN BIỂN Ả RẬP
Theo các chuyên gia khí tượng Ấn Độ, sự hiện diện của bão Tauktae ở Biển Ả Rập vào thời điểm này trong năm là bất thường và đáng lo ngại. Chuyên gia phân tích:
Biển Ả Rập và Vịnh Bengal đều là một phần của Ấn Độ Dương, kéo dài ở phía tây dọc theo bờ biển châu Phi và Madagascar cho đến Bán đảo Ả Rập và Vịnh Oman, xuống đến Bắc Ấn Độ Dương bên dưới Ấn Độ, dọc theo Biển Andaman, và đi đến tận bờ biển Úc.
Tây Ấn Độ Dương thường chứng kiến một số lượng cực kỳ nhỏ các xoáy thuận và bão nhiệt đới. Từ năm 1891 đến năm 2000, 48 xoáy thuận nhiệt đới đã ảnh hưởng đến bờ biển phía Tây, trong đó 24 cơn bão xoáy thuận nghiêm trọng, trong khi khoảng 308 cơn lốc xoáy, bao gồm 103 cơn bão xoáy nghiêm trọng, đã ảnh hưởng đến bờ biển phía đông của đất nước Ấn Độ từ Vịnh Bengal.
Lốc xoáy xảy ra vào các tháng trước gió mùa (từ tháng 5-6) và sau gió mùa (từ tháng 10-12) hàng năm. Trong số các cơn lốc xoáy hình thành ở vùng biển của Vịnh Bengal, hơn 58% tiếp cận bờ biển trong mùa sau gió mùa từ tháng 10 đến tháng 11, trong khi 30% đã đi vào thời kỳ trước gió mùa.
Ở phía bên kia, chỉ có khoảng 25% xoáy thuận hình thành ở Biển Ả Rập, tiếp cận bờ biển trong cả trước và sau gió mùa.
TUY NHIÊN, trong vài thập kỷ qua, số lượng trung bình các cơn bão xuất hiện trên Biển Ả Rập và thời gian trong năm khi chúng xuất hiện đều cho thấy xu hướng thay đổi, bất thường.
Vào năm 2018, trong khi Vịnh Bengal duy trì trung bình 4 cơn lốc xoáy mỗi năm, thì Biển Ả Rập đã tăng lên 3 cơn bão thay vì 1 cơn (gấp 3 lần bình thường). Một năm sau, năm 2019, Biển Ả Rập chứng kiến 5 cơn lốc xoáy.
Nguyên nhân là gì?
Các xu hướng thay đổi phù hợp với nhiệt độ tăng của mặt biển ở Ấn Độ Dương. Một nghiên cứu năm 2014 cho thấy trong khi nhiệt độ của Ấn Độ Dương nói chung tăng 0,7 độ C, thì phía tây Ấn Độ Dương (thường lạnh hơn) đã trải qua sự ấm lên bất ngờ 1,2 độ C vào mùa hè.
Ngoài ra, các cơn lốc xoáy trên Biển Ả Rập cũng đang gia tăng cường độ do lượng khí thải và nhiệt độ tăng. Thông thường, một trận lốc xoáy cực kỳ nghiêm trọng xảy ra 4 đến 5 năm một lần ở đây. Từ năm 1998 đến năm 2013, chỉ có 5 cơn lốc xoáy cực kỳ nghiêm trọng xảy ra ở khu vực này của đại dương.
Tuy nhiên, năm 2014 chứng kiến cơn bão xoáy cực kỳ nghiêm trọng Nilofar (mạnh thứ ba ở Biển Ả Rập trong lịch sử, sức gió từ 205 km/h đến 215 km/h) và năm 2015 chứng kiến các cơn bão lốc xoáy Chapal và Megh, tất cả đều xảy ra vào tháng 10 và tháng 11.
Nhiệt độ bề mặt gia tăng của các vùng nước trên Biển Ả Rập được cho là yếu tố hàng đầu làm tăng tần suất và cường độ của các cơn lốc xoáy trên nó. Hiện, các chuyên gia cũng đang kêu gọi giám sát chuyên sâu các vùng nước này để tìm lốc xoáy, giúp người dân Ấn Độ ứng phó kịp thời hơn.
Nguồn: https://phapluatbandoc.giadinh.net.vn/don-kep-khung-khiep-tan-cong-an-do-con-bao-quai-vat-tauktae-kh..
Clip đang được xem nhiều nhất: Khởi tố 3 đối tượng phát tán clip với nội dung 'thác loạn' trong quán bar Sunny
Nga tuyên bố triển khai trực chiến trung đoàn 'độc nhất vô nhị' S-500
Tinh trùng người hiến tặng có gen ung thư được bán cho phụ nữ khắp châu Âu
Nga tuyên bố triển khai trực chiến trung đoàn 'độc nhất vô nhị' S-500
Bắt giữ đối tượng cướp tiệm vàng ở Tây Ninh
Hà Nội chi hơn 574 tỷ đồng tặng quà người có công dịp Tết Nguyên đán Bính Ngọ
Ông Johnathan Hạnh Nguyễn được đề nghị tặng danh hiệu Anh hùng Lao động
-
Hà Nội: Người bị thu hồi đất được ưu tiên mua nhà ở xã hội không cần bốc thăm
-
Cảnh sát giao thông mở cao điểm, kiểm tra nồng độ cồn dịp Tết Nguyên đán Bính Ngọ
-
Chậm cấp bằng, Đại học Kinh tế Quốc dân phải bồi thường cho cựu sinh viên 87 triệu đồng
-
Khởi tố đối tượng lái ô tô tông chết người ở Tây Ninh
-
Xe kinh doanh vận tải không bắt buộc phải lắp ghế an toàn cho trẻ em
-
Bắt “tổng tài” chỉ đạo đánh nhân viên quán cà phê vì bị nhắc cấm hút thuốc
-
Chỉ đạo mới của TP.HCM sau vụ cháy 4 người tử vong
-
Bộ Y tế khuyến cáo phòng, chống ảnh hưởng của ô nhiễm không khí tới sức khỏe