Ông Lê Thanh Hải - Phó tổng cục trưởng Tổng cục Khí tượng Thuỷ văn - nhận định siêu bão Mangkhut mạnh tương đương siêu bão Haiyan (năm 2013).
|
|
|

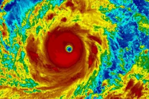
Ảnh vệ tinh cho thấy siêu bão Mangkhut đe dọa Philippines
Ông nhận định như thế nào về cường độ và quỹ đạo của siêu bão Mangkhut so với tương quan những siêu bão trước đó?
- Có thể so sánh, siêu bão này mạnh tương đương siêu bão Haiyan (2013), từng gây thảm họa gần 7000 người chết ở Philippines. Nguyên nhân chính là nước dâng do bão lớn như sóng thần, tới 7,5m.
Hai cơn này tương tự nhau về cả quỹ đạo chuyển động. Tuy nhiên bão Haiyan (2013) đổ bộ miền Trung của Philippines. Vùng đó sức chống chọi thấp. Trong khi đó siêu bão Mangkhut năm nay đi vào vùng đảo Luzon, đây là đảo lớn nằm ở phía Bắc Philippines có sức chống chọi tốt hơn. Vì thế, dự báo hậu quả do siêu bão Mangkhut so với Haiyan sẽ bớt khốc liệt.
Diễn biến và kịch bản đổ bộ của siêu bão này như thế nào, thưa ông?
- Tất cả các mô hình dự báo hiện nay đều cho rằng, bão sẽ hướng về phía bán đảo Lôi Châu, Trung Quốc, Khoảng sáng thứ 7 sẽ đi vào Biển Đông. Khi tương tác với đảo Luzon (Philipines), bão có khả năng giảm đi một chút, có khả năng khi vào bắc Biển Đông, bão giảm 2 cấp là 14, 15, giật cấp16,17. Khi tiến sát vào Lôi Châu, bão có khả năng giảm thêm 1,2 cấp nữa.
Cơn bão này có phạm vi ảnh hưởng rất rộng nên khi vào đến phía bắc vịnh Bắc bộ, vùng gió mạnh cấp 10 bao kín cả vịnh Bắc bộ, mạnh khoảng cấp 12. Có 2 kịch bản về đường đi của bão. Một kịch bản là đi về phía bắc của vịnh Bắc bộ. Kịch bản 2 là đi thấp hơn, vào giữa vịnh Bắc bộ.
Khả năng cao khoảng 60% bão Mangkhut di chuyển về phía bắc vịnh Bắc Bộ. Song, không loại trừ khả năng cơn bão này di chuyển lệch xuống thấp hơn, vào giữa vịnh Bắc Bộ.
Chúng tôi tạm thời đưa ra kịch bản đây là cơn bão mạnh cấp 11-12, giật cấp 14-15 ở trên vịnh Bắc Bộ. Song, bão Mangkhut có thể giảm cấp khi tương tác với đảo Hải Nam (Trung Quốc) và vùng ven bờ. Công tác tổ chức phòng chống thiên tai cần đặt những ưu tiên cao.

Nếu đổ bộ vào Việt Nam, những khu vực nào sẽ chịu ảnh hưởng nặng nề nhất của siêu bão, thưa ông?
- Tính đến thời điểm này, chúng tôi cho rằng khả năng cao ảnh hưởng của cơn bão này rất lớn và trên diện rộng. Các địa phương ở khu vực Bắc Bộ, Thanh Hoá, Nghệ An nằm trong vùng ảnh hưởng trực tiếp của cơn bão. Từ sáng sớm 16-17.9, vịnh Bắc Bộ có gió mạnh, sóng lớn.
Khi vào Biển Đông, bão di chuyển tương đối nhanh 25 km/h, do vậy chúng ta càng có ít thời gian chuẩn bị ứng phó. Đến trưa chiều 17.9, bão Mangkhut sẽ đổ bộ vào đất liền các khu vực nói trên, thậm chí rìa nam của cơn bão có thể ảnh hưởng tới cả Hà Tĩnh, Quảng Bình, Quảng Trị. toàn Bắc Bộ và cả Bắc Trung Bộ có một đợt mưa to đến rất to. Dự kiến lượng mưa lên đến 200 – 400 mm, có nơi 500 mm
Thưa ông, liệu Hà Nội có nằm trong khu vực trực tiếp bị siêu bão đe dọa hay không? Cần có biện pháp gì để hạn chế nguy hiểm?
Đến thời điểm này, theo quan sát khí tượng cho thấy Hà Nội nằm trong vùng ảnh hưởng trực tiếp. Tâm bão có thể đi xuyên qua sát Hà Nội. Vì thế, tại Hà Nội có thể sức gió lên đến cấp 7 – 8, giật cấp 9. Thời gian xảy ra thời tiết nguy hiểm này có thể từ trưa đến đêm ngày thứ 2 (17.9). Tuy nhiên, đến thời điểm này chỉ có thể nhận định quỹ đạo của siêu bão, cường độ của bão vẫn đang ở mức dự đoán không chắc chắn vì diễn biến phức tạp.
Nếu thực sự bão vào gây gió cấp 8 thì rất nguy hiểm, nhà chức trách nên cân nhắc cấm các phương tiện lưu thông trên cầu Vĩnh Tuy, cầu Nhật Tân, cầu Thăng Long vào thời điểm bão đổ bộ, nhằm đảm bảo an toàn.
Clip đang được xem nhiều nhất: Nhóm thanh niên ngăn cô gái nhảy cầu
Dán phim cách nhiệt ô tô giải pháp chống bức xạ nhiệt phù hợp khí hậu Việt Nam
Xesaigon.vn cập nhật bảng giá thuê xe du lịch TPHCM minh bạch trong từng khoản phí
-
Uy tín và minh bạch - Hai yếu tố then chốt khiến Sim24h được nhiều doanh nhân, người nổi tiếng tin tưởng
-
Gió mùa Đông Bắc tăng cường, Bắc Bộ rét đậm, biển động mạnh
-
Hà Nội: Người bị thu hồi đất được ưu tiên mua nhà ở xã hội không cần bốc thăm
-
Bãi bỏ lộ trình phối trộn nhiên liệu sinh học với xăng, dầu
Lạm dụng tín nhiệm chiếm đoạt 4,8 tỷ đồng
Gió mùa Đông Bắc tăng cường, Bắc Bộ rét đậm, biển động mạnh
Ông Johnathan Hạnh Nguyễn được đề nghị tặng danh hiệu Anh hùng Lao động
Hà Nội: Người bị thu hồi đất được ưu tiên mua nhà ở xã hội không cần bốc thăm
-
Cảnh sát giao thông mở cao điểm, kiểm tra nồng độ cồn dịp Tết Nguyên đán Bính Ngọ
-
Chậm cấp bằng, Đại học Kinh tế Quốc dân phải bồi thường cho cựu sinh viên 87 triệu đồng
-
Khởi tố đối tượng lái ô tô tông chết người ở Tây Ninh
-
Xe kinh doanh vận tải không bắt buộc phải lắp ghế an toàn cho trẻ em
-
Bắt “tổng tài” chỉ đạo đánh nhân viên quán cà phê vì bị nhắc cấm hút thuốc
-
Chỉ đạo mới của TP.HCM sau vụ cháy 4 người tử vong
-
Bộ Y tế khuyến cáo phòng, chống ảnh hưởng của ô nhiễm không khí tới sức khỏe
-
TP. HCM kiến nghị Trung ương hỗ trợ 10.000 tỉ đồng để xóa nhà tạm ven sông